-
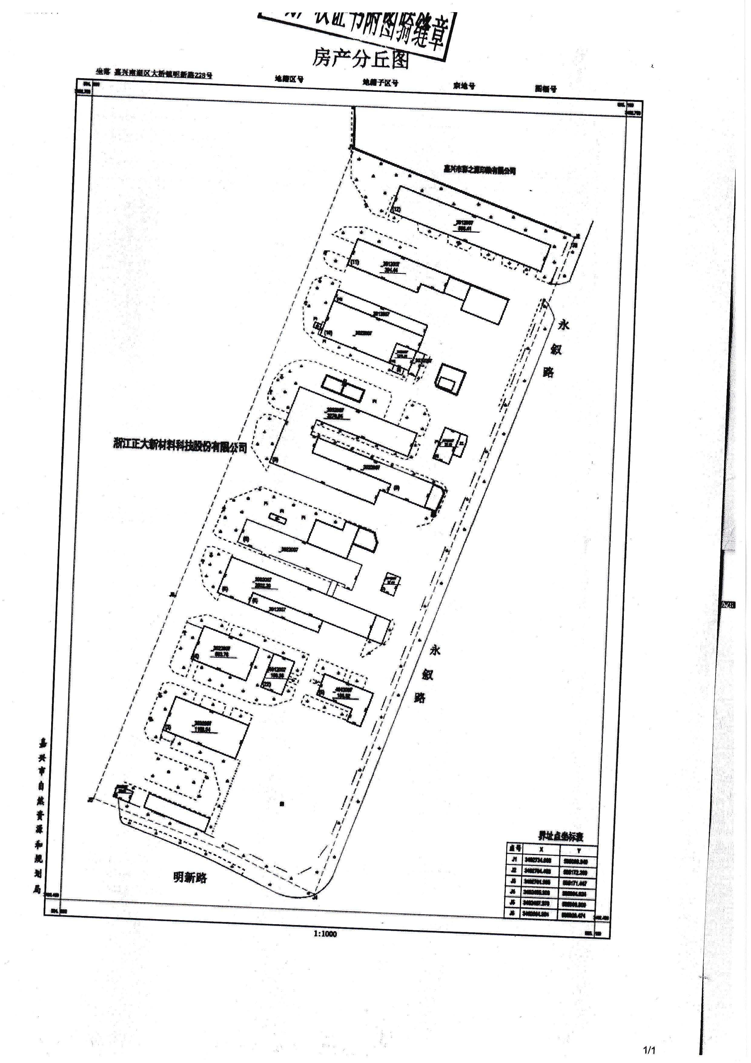
場地調查案例(16)—浙江正大新材料科技股份有限公司東側地塊土壤污染狀況調查
如需報批稿,請聯系:785277034@qq.com -
場地調查案例(15)—洪合鎮新王橋村洪福家苑小區服務用房地塊土壤污染狀況初步調查
如需報批稿,請聯系:785277034@qq.com -
場地調查案例(14)—洪合鎮建北村一事一議水秀里小區配套用房工程地塊土壤污染狀況初步調查
如需報批稿,請聯系:785277034@qq.com -
場地調查案例(13)—嘉興市錦豐紡織整理有限公司河西地塊土壤污染狀況初步調查
如需報批稿,請聯系:328522898@qq.com
場地調查案例(12)—洪合鎮涇橋村公家宴中心工程地塊土壤污染狀況初步調查報告
如需報批稿,請聯系:328522898@qq.com -
場地調查案例(11)—洪合鎮新王村村部西側居家養老照料中心改建工程地塊土壤污染狀況初步調查報告
如需報批稿,請聯系:328522898@qq.com -
場地調查案例(10)—洪合鎮涇橋村公共服務大樓及配套設施工程地塊土壤污染狀況初步調查報告
如需報批稿,請聯系:328522898@qq.com -
場地調查案例(9)—平湖市新埭鎮興旺村2020-17號地塊土壤污染狀況初步調查報告
如需報批稿,請聯系:328522898@qq.com -
場地調查案例(8)——原嘉興市第二絕緣廠疑似污染地塊土壤污染狀況初步調查
如需報批稿,請聯系:785277034@qq.com -
場地調查案例(7)——原嘉興市偉峰漂染有限公司疑似污染地塊土壤污染狀況初步調查
如需報批稿,請聯系:2621915934@qq.com -
嘉興市紅衛中佳表面處理有限公司土壤/地下水自行監測(2019年)、評估及風險管控技術方案公示
如需技術方案,請聯系:2621915934@qq.com -
場地調查案例(1)——原嘉興市王店染色廠廠區土壤初步調查與評估
如需報批稿,請聯系:2621915934@qq.com -
場地調查案例(2)——原嘉興業成染整有限公司廠區土壤初步調查與評估
如需報批稿,請聯系:2621915934@qq.com -
場地調查案例(3)——嘉興益宇毛絨有限公司廠區土壤初步調查與評估
如需報批稿,請聯系:2621915934@qq.com -
場地調查案例(4)——嘉興長潤線業有限公司廠區土壤初步調查與評估
如需報批稿,請聯系:2621915934@qq.com -
場地調查案例(5)——原嘉興市泰石地塊場地初步調查與評估
如需報批稿,請聯系:2621915934@qq.com -
場地調查案例(6)——嘉興王江涇一里街棚戶區地塊場地初步調查及評估
如需報批稿,請聯系:2621915934@qq.com -
工業廢水處理案例(1)——某紡織有限公司
世界500強企業美國ITG 集團出資在中國設立的全資子公司。 本公司水處理技術部承擔了該公司印染廢水中水回用設施,采用超濾+反滲透工藝,給企業節約了大量成本,在當地留下了良好的口碑和深遠的影響。 -
工業廢水處理案例(2)——某奶粉生產企業廢水處理工程
該企業總部位于美國芝加哥 由Wallace C. Abbott醫師創辦于1888年。 本公司水處理技術部承擔了該企業廢水處理站的設計施工,選用生化處理工藝,處理后出水能夠達到相關標準要求,持續穩定達標排放。 -
工業廢水處理案例(3)——某印染廢水處理工程
采用工藝:混凝沉淀+水解酸化+接觸氧化 -
工業廢水處理案例(4) ——某合成材料股份有限公司
浙江杭摩合成材料股份有限公司 ? 股票簡稱:浙江杭摩,股票代碼:835401。 ? 酚醛樹脂及其復合材料的研發,生產與銷售 本公司水處理技術部承擔了該公司150t/d廢水處理工程。 -
工業廢氣治理案例(1)——浙江嘉民塑膠有限公司廢氣處理工程
浙江嘉民塑膠有限公司廢氣處理工程 ? 國家火炬計劃項目、省高新技術企業、國家中小企業創 新基金項目、博士后科研工作站; ? 酚醛樹脂及其復合材料的研發,生產與銷售 本公司承擔了該公司廢氣處理工程,設備總處理風量為 60000m3/h ,廢氣的主要成分為苯酚、 甲醛、氨氣、硫化氫和非甲烷總烴。 -
工業廢氣治理案例(2)—— 某跨國公司
? 跨國公司,總部位于荷蘭; ? 主要經營家用電器、衛生用品、電子產品和其他家庭用品。 本公司承擔了該公司廢氣處理工程,針對電飯煲內鍋噴漆廢氣,風量3萬m3/h。采用,微電荷噴淋+光催化氧化技術。 -
工業廢氣治理案例(3)—— 某汽車有限公司
? 中國名牌產品、中國品牌500強、中國機械500強 ; ? 年生產能力小型客車20000輛,中型客車4000輛; 本公司承擔了該公司廢氣處理工程,針對汽車噴漆廢氣,風量:32萬m3/h。采用:過濾+活性炭吸附+脫附催化焚燒技術 -
其它廢氣治理案例
污水站臭氣處理工程 采用工藝:酸噴淋塔+堿噴淋塔 某有機廢氣處理工程 采用工藝:活性炭纖維吸附脫附+催化燃燒 某涂裝廢氣處理工程 采用工藝:高效除漆霧塔+低溫等離子 -
土壤修復案例(1)
? 浙江臺州典型區域土壤污染綜合治理項目實施方案 -
土壤修復案例(2)
? 搬遷企業退役廠區土壤修復關鍵技術開發與示范工程——南京某公司搬遷遺留污染場地土壤修復工程 -
土壤修復案例(3)
? 重慶某鋼廠原址場地現場樣品采集、定量風險評估 -
土壤修復案例(4)
? 浙江嘉興某場地土壤修復技術咨詢及修復工程實施



